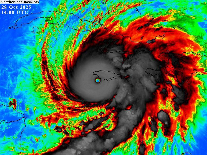
Melissa, que con categoría 5 y vientos de hasta 280 kilómetros por hora comenzó a moverse al norte-nordeste al iniciarse el día martes, se perfila ya como real gran amenaza para la región oriental de Cuba, zona geográfica del archipiélago que, de acuerdo con los pronósticos, atravesará durante la madrugada del miércoles y al amanecer se internará en aguas del océano Atlántico.
La “visita” del poderoso sistema supone serio peligro para la población por la fuerza de los vientos, intensas lluvias y penetraciones del mar, con olas de hasta siete metros de altura, subrayó Carlos Román González, director del Centro Meteorológico provincial, en su habitual informe al Consejo de Defensa, durante el cual alertó que el posible desplazamiento en su cono de trayectoria no significa que amortizará sus devastadores estragos.
“Confiarse -dijo- no es una posibilidad” y explicó que si bien el radio de los vientos huracanales se enmarcan en un área de 45 kilómetros, los de tormenta tropical, que le siguen, pueden ser de hasta 118 kilómetros por hora en un radio de 315 kilómetros. Vientos desbastadores que estarán incidiendo en la geografía colindante.
Llamó a los guantanameros a protegerse, a no desdeñar peligros y cumplir todas las orientaciones que se dictan para preservar vidas humanas y bienes de la economía. La madrugada -reitero- será la fase de mayor peligro, cuando transite sobre Oriente, pero mientras avance el martes se deteriorarán cada vez más las condiciones del tiempo incrementándose la intensidad de las lluvias, los vientos y las penetraciones de la mar.
Apuntó que el movimiento estimado lo llevará hacia el macizo montañoso Sagua- Baracoa, donde duplicará la fuerza de los vientos al encajonar estos en la serranía, que recibirá también torrenciales lluvias de hasta 300 milímetros con impacto en los cauces, cuyos volúmenes de agua se dispararán provocando grandes inundaciones como las ya vividas en Oscar.
Melissa, en interacción con la vaguada, aumentará su velocidad de traslación, y al acercarse a Cuba provoca en los litorales Sur (al entrar) y Norte (al salir) grandes penetraciones del mar con olas que pudieran llegar hasta los siete metros de altura. Significó los efectos en Baracoa y anunció la posibilidad de mar de leva, fenómeno que esos lugareños han sufrido con todo rigor.
Finalmente aseguró que las lluvias persistirán en la región oriental durante algunos días tras el paso del peligroso y potente organismo climatológico.




